A merecer a sua confiança… desde 1989
Idioma
Início
Quem Somos
Arrendamentos
Comprar/Vender/Arrendar
Empreendimentos
Contactos
Finalidade
Seleccionar
Arrendamento
Arrendamento férias
Cedência de posição
Compra
Permuta
Time-sharing
Trespasse
Tipo de imóvel
Seleccionar
Apartamentos
Comércio/Negócios
Moradias
Terrenos
Distrito:
Seleccionar
Porto
Concelho:
Seleccionar
Baião
Gondomar
Maia
Valongo
Vila Nova de Gaia
Freguesia:
Seleccionar
Alfena
Referência
procurar
... procurar por referência
Início
Detalhe de Imóvel
Lote Terrreno - Alfena | Centro
Alfena, Valongo (Porto)
450 000 €
Facebook
Twitter
Pinterest
Linkedin
Descrição
Alfena | Centro | Junto ao Lidl
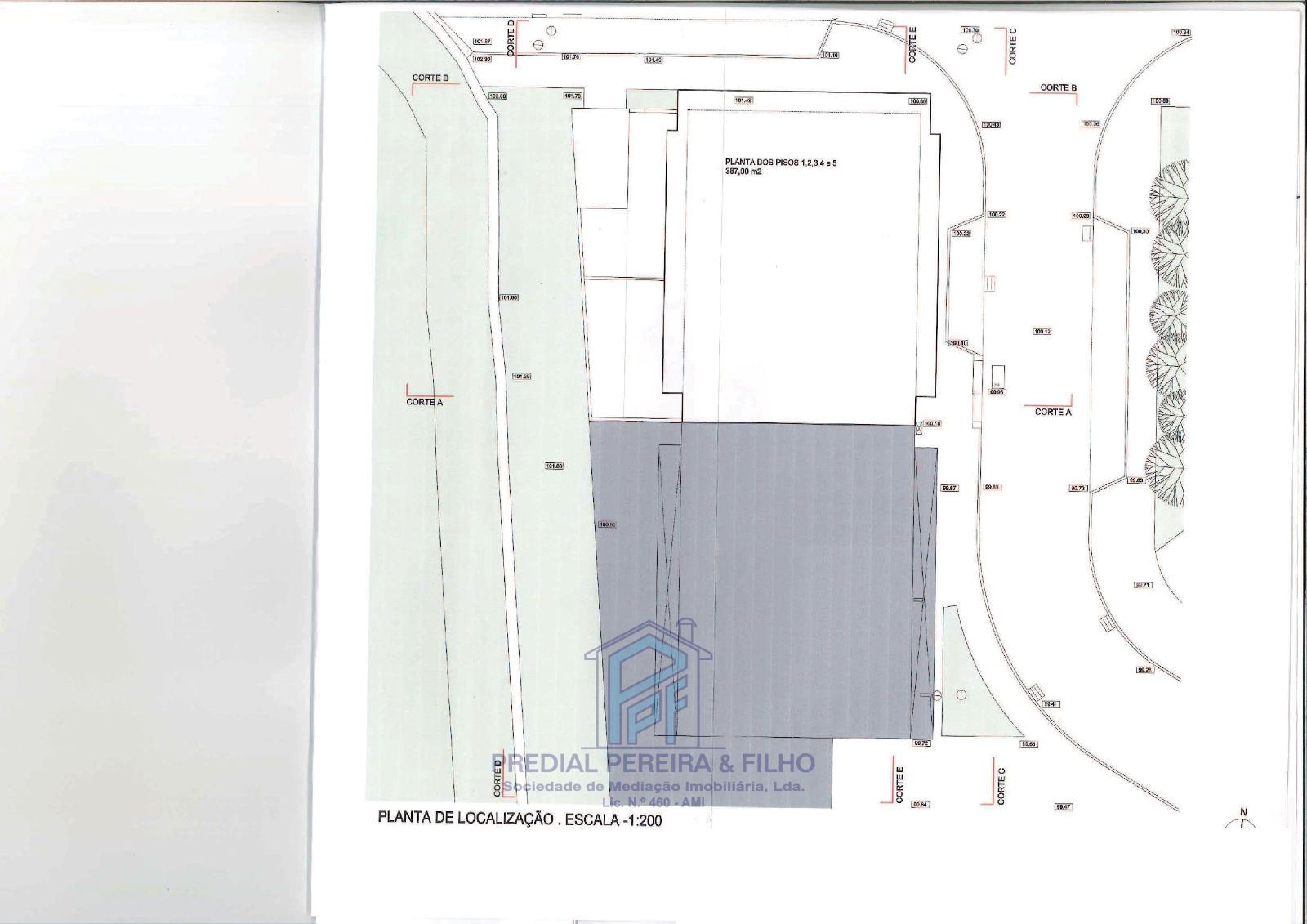
Lote de terreno de gaveto destinado a construção em altura, inserido em zona urbana consolidada.
Viabilidade construtiva para edifício habitacional multifamiliar de 3 frentes, com capacidade máxima de 18 fogos.
Parâmetros urbanísticos:
Área total do terreno: 440 m²
Área bruta de construção: 2.240 m²
Existe estudo prévio que prevê a edificação de subcave, cave, rés do chão e 5 pisos acima da cota de soleira.
Programa habitacional previsto:
10 unidades T3 (pisos 1 a 5)
7 unidades T2 (rés do chão a piso 5)
1 unidade T1 (rés do chão)
Localização estratégica, com acessos rápidos à A41 e N105, ligando facilmente ao Porto e às principais vias da região.
Zona servida por transportes públicos, com várias paragens de autocarro e acesso a comboios nas proximidades.
Próximo de comércio e serviços, incluindo:
Lidl a 300m
Aldi a 450m
Farmácia de Alfena a 550m
Parque Vale do Leça a 900m
Apeadeiro de Comboio (Cabeda) a 8 min de carro
Excelente oportunidade para investidores e promotores, com elevado potencial de valorização.
Para mais informações e marcação de visitas, contacte-nos:
PREDIAL PEREIRA & FILHO – Soc. Mediação de Imobiliária, Lda.
“A Merecer a sua Confiança, desde 1989”
Detalhes
Referência
TE0157
Finalidade
Compra
Estado
Área bruta
440 m²
Área útil
440 m²
Ano de construção
2026
Localização
Latitude:
/
Longitude:
Pedido de Informações
Nome:
E-mail:
Telefone:
Questões:
Sou o titular destes dados pessoais e autorizo a utilização dos mesmos para resposta a este pedido de informação.
(Para efetuar o pedido de informação é necessário marcar esta opção)
Autorizo a utilização destes dados pessoais para o envio de outra informação sobre imóveis. Em qualquer momento poderei cancelar essa autorização.
enviar
Características
Classificação Energética
Classificação:
Isento
;
Exterior
Area total:
2240
;
Orientação solar:
Nascente:
1
;
Poente:
1
;
Visibilidade
(1)
:
Boa:
1
;
Estacionamento
Divisões
Quartos;
WC´s:
0
;
Enquadramento
Escolas:
1
;
Transportes públicos:
1
;
Supermercados e comércio:
1
;
Hospitais clínicas e farmácias:
1
;
Acessos
(1)
:
Transportes públicos:
1
;
Auto-estrada:
1
;
Localização
(1)
:
Periferia:
1
;
Serviços
(1)
:
Centro Comercial:
1
;
Supermercados:
1
;
Bancos:
1
;
Farmácia:
1
;
Hospital:
1
;
Escolas:
1
;
Vistas
(1)
:
Áreas verdes:
1
;
Prédios:
1
;
Zona envolvente
(1)
:
Residencial:
1
;
Comercial:
1
;
Recomendar Imóvel
Remetente
Destinatário